Полезные качества
Польза для организма человека от употребления сибаса часто сравнивается с аналогичными свойствами лососевых, и это – не преувеличение. Рыба содержит высокие концентрации полиненасыщенных жирных кислот группы Омега-3. Примечательно, что высоким содержанием этих кислот обычно отличаются жирные сорта рыб, высококалорийные и не всем полезные. Лаврак содержит почти такие же количества при калорийности всего в 82 ккал на 100 граммов съедобной части.
Польза Омега-3 велика. Эти кислоты способствуют поддержанию работы сердца, сосудов, клеток нервной системы и головного мозга. Считается, что они способствуют повышению настроения, улучшению памяти, внимания, качества сна. Полиненасыщенные жирные кислоты необходимы людям с высокими рисками сердечно-сосудистых патологий, атеросклероза, артрита, тромбоза. По этой причине сибас — отличный выбор для рациона пожилых людей.
Жирность сибаса — около 3%, а содержание белка высоко — более 19 граммов на 100-граммовую порцию. Богат сибас железом, селеном, кальцием и фосфором.
Витамины группы В, особенно В12 — также представлены почти в количестве, соответствующем суточной потребности взрослого человека.
Состав рыбы способствует поддержанию здоровья костей и суставов, зубов, волос, кожных покровов. Настоятельно рекомендуется этот сорт рыбки при псориазе, дерматитах, поскольку считается, что он способен снижать проявления данных недугов.
Рыба может вводиться в рацион худеющих — снижать вес при белковом продукте с низкой калорийностью удается куда быстрее, чем на других видах белковой пищи. Рыбка должна входить в меню планирующих зачатие пар — ее минеральный состав способствуют повышению фертильности мужчин и женщин.
Лаврак разрешается для питания беременных женщин, его можно употреблять в пищу при грудном вскармливании. В детский рацион эту рыбу вводят с возраста 9-11 месяцев. При панкреатите и гастрите продукт допустим, и его присутствие не противоречит принципам лечебной диеты. При диабете сибас — рыба приоритетного выбора, поскольку углеводов продукт не содержит, его гликемический индекс равен нулю.
Выращивание в искусственных условиях
Для тех, кому нравится лаврак, рыба, выловленная в море, значительно более ценна, чем выведенная искусственно. Но в любом случае популярность морского волка не падает. На прилавках наших магазинов чаще всего находится рыба, выведенная в неволе.
Для разведения сибаса используется прудовый метод, так называемое бассейновое выращивание и садковый метод. Бассейны для выращивания заполняют соленой морской водой. А при садковом выращивании, садки могут помещать в лагуны или лиманы. Чаще всего выстраивают переход, вдоль которого располагают садки с рыбой, которые оснащают пневмокормушками.

Знатоки умеют различать лаврака, выросшего на воле и в искусственном водоеме:
- При искусственном выращивании тушка лаврака мясистее, толще и короче.
- На искусственном кормлении рыба вырастает жирнее.
- Каждый экземпляр в партии весит около 500 г.
Что такое сибас
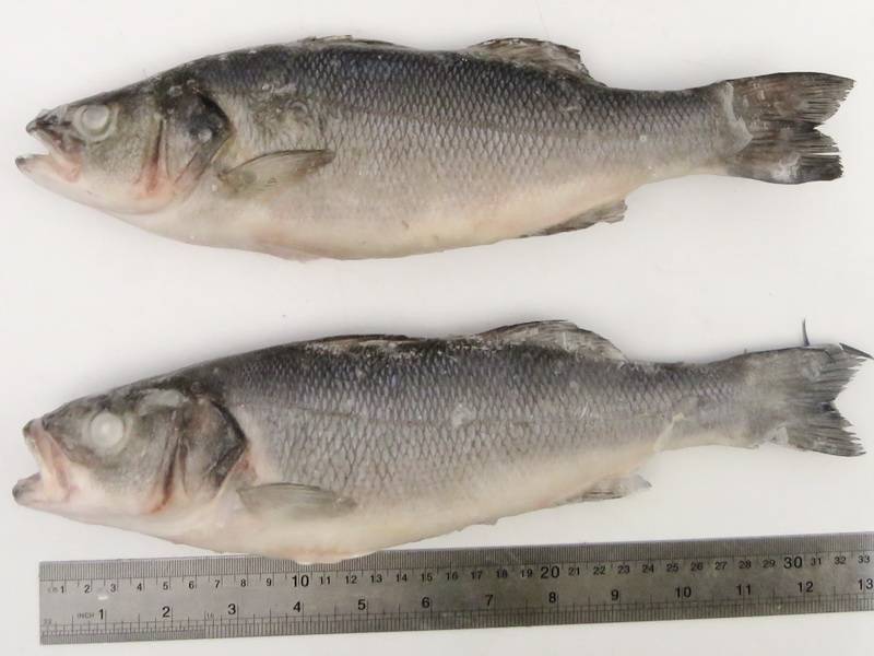
Рыба сибас относится к хищникам семейства Мороновых, именуемая в научных кругах, как лаврак обыкновенный. Она обитает преимущественно у побережья Атлантического океана, известна, как морской окунь, но имеет и другие названия: морской волк, койкан, бранзино, лубино, спингола, раньо. Обитает большими стаями, что позволяет выловить сразу большое количество особей. Рыба морской волк имеет вытянутую форму тела с зелеными переливами на спине, серебристыми боками, светлым брюхом и крупной чешуей.
В зависимости от места жительства (кроме вод Атлантики еще Средиземное и Черное моря), ее окрас может меняться до коричневого и сине-черного. Лаврак может дожить до 15 лет, достигая 1 м в длину и веса до 12 кг. Сегодня рыбу разводят в специальных искусственных водоемах, откуда она и поступает в продажу тушками не более 30-45 см длиной. Высокой пищевой ценностью все же обладают особи, выросшие в натуральных природных условиях, стоимость которых по сравнению с искусственно выращенными собратьями выше в несколько раз.
Являясь хищником, спингола крабами, моллюсками, креветками, небольшими рыбешками, проплывающими стаями мимо них. Любимое лакомство – сардины, к местам обитания которых хищники совершают путешествия в летнее время года. Период нереста спинголы – лето-осень, ее упитанность зависит от сезона вылова, рыба, выловленная в предзимье считаются самыми вкусными. Основные поставщики этой продукции в Россию – Турция, Греция, иногда Чили.
Полезные свойства морского волка обусловлены повышенным содержанием жирных кислот Омега-3, оказывающими противовоспалительный эффект, предотвращающими сердечно-сосудистые заболевания, появление злокачественных опухолей, артрита, артроза, псориаза, остеопороза. По количеству белка, содержащегося в лавраке (около 16 г), она не уступает свинине или говядине, к тому же вещество легко усваивается и не образует токсичные соединения во время переваривания.
Помимо белка, в химический состав особей еще входят кобальт, хром, фосфор, кальций, железо, витамины A, D, B1, B2, B6, B9, B12 и йод. Последний элемент полезен людям с дефицитом щитовидной железы. Желающие избавиться от лишнего веса тоже могут внести мясо этого морского жителя в свой рацион. Обладая низкой калорийностью, рыба не прибавит килограмм, но принесет чувство насыщения, обогатит организм полезными веществами, минералами
Противопоказаний к употреблению спинголы нет, однако людям, страдающим аллергическими реакциями, стоит есть ее с осторожностью

Мы знаем всео Северном Кипре!
Лаврак ( тур. levrek (леврек) (лат. Dicentrarchus labrax
)— вид рыб из семействаMoronidae .
Близость Средиземного моря и возможность использовать только самую свежую рыбу в приготовлении вызывают желание примерить на себя роль шеф-повара уютной рыбной таверны и заняться приготовлением аппетитного блюда на гриле.
Леврек или морской волк (рыба сибас, морской окунь) пользуется большой славой у рыбаков и ценителей рыбы. Мясо морского волка нежирное, белое , почти без костей, кроме того, оно невероятно вкусное!
Достаточно высокая стоимость этой рыбы, вылавливаемой в местных водах (около 16-17 евро за 1 кг), объясняется тем, что поймать эту рыбу очень не просто: леврек бросает вызов рыбакам.
Взрослые рыбы достигают в длину 1 м и могут весить до 12 кг, но, как правило, в продажу поступают экземпляры размером 50-70 см и весом чуть больше 1 кг.
О левреке упоминал знаменитый римский гурман Марк Гавий Апиций, варивший морского волка с перцем, луком, тмином, рутой и петрушкой и рекомендовавший наслаждаться им, добавляя соус из оливкового масла и мёда.
Сейчас сибаса готовят с душистыми приправами, жарят на гриле или запекают в соли. Некоторые гурманы отваривают лаврака, добавляя вино и приправы. По отзывам, остывший морской волк с майонезом может оказать достойную конкуренцию даже омарам.
Процесс приготовления сибаса несложен. Берём свежего лаврака весом около 1 кг, приправу для рыбы (ее можно купить в магазине или приготовить самостоятельно) и соль. В состав приправы, которую мы использовали, входят имбирь, кориандр, лимонник, куркума, перец чили. Натираем рыбу приправой
Особенно важно втереть травы не только снаружи, но и внутри рыбы, так как это придаст особый пикантный вкус. Плотно оборачиваем рыбу фольгой
Разогреваем гриль до 180-200 градусов и помещаем рыбу, завернутую в фольгу, на решетку. Оставляем на гриле на 20-25 минут. Затем рыбу необходимо перевернуть, чтобы она хорошо подрумянилась с обеих сторон. Ну, а пока мы спускаемся к лимонному дереву и срываем свежайший лимон. Что еще может дополнить нежный вкус только что выловленной рыбы, как не только что сорванный лимон? Готовим лимон и зелень для украшения нашего блюда. Снимаем рыбу с гриля, помещаем на блюдо, открываем фольгу (ее лучше не снимать полностью, чтобы не потерять ни капли ароматного соуса), украшаем наше творение зеленью и лимоном.
Ну и конечно же подаем рыбу с прекрасным белым сухим вином.
Приятного аппетита!
Бронировать
Применение в кулинарии
Мясо морского волка отличается узким вкусом, а само мясо имеет ласковую консистенцию. Поэтому сибаса причислили к рыбе премиум — класса. Потому, что в рыбе мало костей, ее готовят по разным рецептам.
В большинстве случаев, сибаса:
- Запекают.
- Жарят.
- Варят.
- Фаршируют.
Морской волк, приготовленный в соли

В Средиземноморье сибаса готовят по одному, но весьма вкусному рецепту.
Для этого нужно иметь:
- Рыбу сибас, весом до 1,5 килограмма.
- Смесь из простой и морской соли.
- Три яичных белка.
- 80 мл воды.
Метод изготовление:
- Рыба чистится и разделывается. Удаляются плавники и внутренности.
- Соленая смесь смешивается с яичными белками и водой, по окончании чего эта смесь выкладывается ровным слоем на фольгу, застеленную на противень.
- Сверху ложится подготовленная тушка сибаса, а сверху снова покрывается слоем соли и белков.
- Рыба помещается в духовку, где выпекается в течение получаса при температуре 220 градусов.
- По окончании готовности от рыбы отделяется соль с белками. В большинстве случаев, отделяется вместе с этим составом и шкурка рыбы.
- Подается к столу со свежими овощами или салатом.
Рыба сибас – это вкусная и нужная рыба, если она выловлена в природных условиях. Благодаря ласковому мясу и узкому вкусу она присутствует во многих блюдах, а также и высокой кухни, приготовленных в элитных ресторанах.
К сожалению, не каждому рыболову удастся поймать эту вкуснейшую рыбу. Ее так же не просто обнаружить прилавках магазинов, потому, что ее занесли в Красную книгу. Не обращая внимания на это, ее разводят во многих европейских государствах. Не смотря на то, что она и не такая полезная, но принимать ее в пищу, все же можно.
Рецепт Сибас на пару. Калорийность, химический состав и пищевая ценность.
Пищевая ценность и химический состав «Сибас на пару».
В таблице приведено содержание пищевых веществ (калорийности, белков, жиров, углеводов, витаминов и минералов) на 100 грамм съедобной части.
| Нутриент | Количество | Норма** | % от нормы в 100 г | % от нормы в 100 ккал | 100% нормы |
| Калорийность | 101.2 кКал | 1684 кКал | 6% | 5.9% | 1664 г |
| Белки | 17.8 г | 76 г | 23.4% | 23.1% | 427 г |
| Жиры | 3.3 г | 56 г | 5.9% | 5.8% | 1697 г |
| Вода | 79.8 г | 2273 г | 3.5% | 3.5% | 2848 г |
| Зола | 0.604 г | ~ | |||
| Витамины | |||||
| Витамин А, РЭ | 29.5 мкг | 900 мкг | 3.3% | 3.3% | 3051 г |
| Ретинол | 0.03 мг | ~ | |||
| Витамин В1, тиамин | 0.069 мг | 1.5 мг | 4.6% | 4.5% | 2174 г |
| Витамин В2, рибофлавин | 0.082 мг | 1.8 мг | 4.6% | 4.5% | 2195 г |
| Витамин В4, холин | 60.7 мг | 500 мг | 12.1% | 12% | 824 г |
| Витамин В5, пантотеновая | 0.245 мг | 5 мг | 4.9% | 4.8% | 2041 г |
| Витамин В6, пиридоксин | 0.081 мг | 2 мг | 4.1% | 4.1% | 2469 г |
| Витамин В9, фолаты | 0.806 мкг | 400 мкг | 0.2% | 0.2% | 49628 г |
| Витамин В12, кобаламин | 2.342 мкг | 3 мкг | 78.1% | 77.2% | 128 г |
| Витамин C, аскорбиновая | 0.56 мг | 90 мг | 0.6% | 0.6% | 16071 г |
| Витамин D, кальциферол | 2.296 мкг | 10 мкг | 23% | 22.7% | 436 г |
| Витамин Е, альфа токоферол, ТЭ | 0.799 мг | 15 мг | 5.3% | 5.2% | 1877 г |
| Витамин К, филлохинон | 0.1 мкг | 120 мкг | 0.1% | 0.1% | 120000 г |
| Витамин РР, НЭ | 3.8123 мг | 20 мг | 19.1% | 18.9% | 525 г |
| Ниацин | 1.271 мг | ~ | |||
| Макроэлементы | |||||
| Калий, K | 149.77 мг | 2500 мг | 6% | 5.9% | 1669 г |
| Кальций, Ca | 58.55 мг | 1000 мг | 5.9% | 5.8% | 1708 г |
| Магний, Mg | 20.42 мг | 400 мг | 5.1% | 5% | 1959 г |
| Натрий, Na | 28.93 мг | 1300 мг | 2.2% | 2.2% | 4494 г |
| Сера, S | 204.91 мг | 1000 мг | 20.5% | 20.3% | 488 г |
| Фосфор, P | 144.8 мг | 800 мг | 18.1% | 17.9% | 552 г |
| Хлор, Cl | 63.65 мг | 2300 мг | 2.8% | 2.8% | 3614 г |
| Микроэлементы | |||||
| Железо, Fe | 0.807 мг | 18 мг | 4.5% | 4.4% | 2230 г |
| Йод, I | 35.2 мкг | 150 мкг | 23.5% | 23.2% | 426 г |
| Кобальт, Co | 26.89 мкг | 10 мкг | 268.9% | 265.7% | 37 г |
| Марганец, Mn | 0.0431 мг | 2 мг | 2.2% | 2.2% | 4640 г |
| Медь, Cu | 116.18 мкг | 1000 мкг | 11.6% | 11.5% | 861 г |
| Молибден, Mo | 1.725 мкг | 70 мкг | 2.5% | 2.5% | 4058 г |
| Никель, Ni | 2.587 мкг | ~ | |||
| Селен, Se | 33.551 мкг | 55 мкг | 61% | 60.3% | 164 г |
| Фтор, F | 60.36 мкг | 4000 мкг | 1.5% | 1.5% | 6627 г |
| Хром, Cr | 23.71 мкг | 50 мкг | 47.4% | 46.8% | 211 г |
| Цинк, Zn | 1.4523 мг | 12 мг | 12.1% | 12% | 826 г |
| Незаменимые аминокислоты | |||||
| Аргинин* | 1.248 г | ~ | |||
| Валин | 1.248 г | ~ | |||
| Гистидин* | 0.454 г | ~ | |||
| Изолейцин | 1.021 г | ~ | |||
| Лейцин | 1.815 г | ~ | |||
| Лизин | 1.929 г | ~ | |||
| Метионин | 0.567 г | ~ | |||
| Метионин + Цистеин | 0.794 г | ~ | |||
| Треонин | 1.021 г | ~ | |||
| Триптофан | 0.216 г | ~ | |||
| Фенилаланин | 0.794 г | ~ | |||
| Фенилаланин+Тирозин | 1.475 г | ~ | |||
| Заменимые аминокислоты | |||||
| Аланин | 1.702 г | ~ | |||
| Аспарагиновая кислота | 2.156 г | ~ | |||
| Глицин | 0.908 г | ~ | |||
| Глутаминовая кислота | 3.063 г | ~ | |||
| Пролин | 0.681 г | ~ | |||
| Серин | 1.021 г | ~ | |||
| Тирозин | 0.681 г | ~ | |||
| Цистеин | 0.227 г | ~ | |||
| Стеролы (стерины) | |||||
| Холестерин | 59.91 мг | max 300 мг | |||
| Насыщенные жирные кислоты | |||||
| Насыщеные жирные кислоты | 0.7 г | max 18.7 г | |||
| 14:0 Миристиновая | 0.306 г | ~ | |||
| 16:0 Пальмитиновая | 0.488 г | ~ | |||
| 17:0 Маргариновая | 0.023 г | ~ | |||
| 18:0 Стеариновая | 0.068 г | ~ | |||
| Мононенасыщенные жирные кислоты | 1.668 г | min 16.8 г | 9.9% | 9.8% | |
| 16:1 Пальмитолеиновая | 0.386 г | ~ | |||
| 18:1 Олеиновая (омега-9) | 0.624 г | ~ | |||
| 20:1 Гадолеиновая (омега-9) | 0.408 г | ~ | |||
| 22:1 Эруковая (омега-9) | 0.477 г | ~ | |||
| Полиненасыщенные жирные кислоты | 0.419 г | от 11.2 до 20.6 г | 3.7% | 3.7% | |
| 18:2 Линолевая | 0.034 г | ~ | |||
| 18:3 Линоленовая | 0.011 г | ~ | |||
| 18:4 Стиоридовая Омега-3 | 0.023 г | ~ | |||
| 20:4 Арахидоновая | 0.034 г | ~ | |||
| 20:5 Эйкозапентаеновая (ЭПК), Омега-3 | 0.023 г | ~ | |||
| Омега-3 жирные кислоты | 0.4 г | от 0.9 до 3.7 г | 44.4% | 43.9% | |
| 22:5 Докозапентаеновая (ДПК), Омега-3 | 0.034 г | ~ | |||
| 22:6 Докозагексаеновая (ДГК), Омега-3 | 0.318 г | ~ | |||
| Омега-6 жирные кислоты | 0.1 г | от 4.7 до 16.8 г | 2.1% | 2.1% |
Энергетическая ценность Сибас на пару составляет 101,2 кКал.
** В данной таблице указаны средние нормы витаминов и минералов для взрослого человека. Если вы хотите узнать нормы с учетом вашего пола, возраста и других факторов, тогда воспользуйтесь приложением «Мой здоровый рацион».
Способы приготовления
Что потребуется:
- Несколько лавраков.
- Лимон.
- Пару долек чеснока.
- Веточки розмарина и тимьяна.
- 2-3 ложки оливково масла.
- 50 г сливочного масла.
- Соль.
Порядок приготовления:
- Подготовка: очищение, потрошение и промывание.
- Создание маринада: сделать лимонный сок, смешать с оливковым маслом, солью и чесноком, окунуть лаврака в эту смесь и положить в холодильник на 40 мин.
- Растопить и вскипятить сливочное масло на сковородке, пожарить морского окуня с двух сторон до румяной корочки.
- После приготовления положите рыбку на тарелку и полейте ее приготовленной смесью с лимоном еще раз.
Способ приготовления в духовке.
Что потребуется:
- Один большой морской окунь.
- Лимон.
- Специальные травы или приправы.
- Две ложки оливкового масла.
- Соль.
Способы ловли сибаса
Рыбалка на сибаса – это настоящее удовольствие для опытных рыбаков. Рыба эта быстрая, ловкая и очень активная. Идеальное место для ловли сибаса – зона приливов. Он приходит туда за кормом. Дно должно быть в идеале каменистое, но может быть и песчаное. Начинать ловить рыбу следует за 3 часа до пика прилива. Как только прилив будет закончен, рыба уйдет в море. Лучшее время для рыбалки на сибаса с августа по декабрь. Однако опытные рыболовы отмечают пик поклева в апреле. Температура воды оптимальная для поклевки +17 градусов. Поскольку сибас хищник, то активно он себя проявляет в сумерках и ночное время суток. Именно поэтому, вероятность его поймать возрастает именно ночью.
Существуют некоторые факторы, которые влияют на удачную ловлю лаврака. В первую очередь, сибас может прийти на кормежку во время ветра. В безветренную погоду мало шансов его поймать. Напрямую на поимку сибаса влияют и приливы. Существуют два осиновых способа поймать эту рыбу: спиннингом и нахлыстом.
Для удачного лова нахлыстом, следует учитывать некоторые особенности рыбы. Удило необходимо использовать, предназначенное для ловли в соленой воде. Катушку следует подобрать такую же. Шнуры можно пробовать разные, быстрый и медленный интерн, плавающий или тонущий. В качестве приманки используют воблеры, которые имитируют любимое лакомство сибаса – сардину. Кроме того, подойдут приманки имитирующие скумбрию и кефаль. Цвет воблеров должен меняться со временем суток. Если утром желательно ловить на яркий воблер, то ночью желательно использовать что-то темнее. На рассвете идеально подойдут желтые приманки. Главное в приманке – схожесть силуэтов с настоящей рыбкой.
Любителям рыбачить спиннингом следует поискать береговую линию со скалами. Во время приливов, рыба придет туда полакомиться. Закидывать приманку далеко не следует, рыба приходит очень близко. Катушка нужна безынерционная. В качестве насадки подойдут блесны серебристых оттенков. Их проводят ближе ко дну. К ловле у поверхности следует подобрать муляжи мальков. Особенно любит лаврак угрей.
Чтобы рыбалка на сибаса прошла успешно, необходимо учитывать особенности характера поведения этой рыбы и тогда, трофей гарантирован.
Как выбрать и хранить рыбу сибаса?
Каждый опытный кулинар должен уметь правильно выбирать рыбу, в том числе и сибаса, ведь от этого зависит, насколько вкусным и полезным будет блюдо, приготовленное из этого продукта. Если перед вами стоит цель купить свежую рыбу, то прежде всего придерживайтесь таких правил:
- во время хранения сибас должен лежать на льду в специальном маленьком холодильнике;
- кожица рыбы должна быть однородного цвета и отшлифована;
- рыбьи глаза всегда имеют прозрачную текстуру, а жабры – нежно-розовый окрас;
- при надавливании пальцем поверхность сибаса должна быстро выровняться, обратное говорит о том, что продукт подвергался заморозке.
Помимо этого, чтобы выбрать хорошую рыбу, старайтесь покупать ее не слишком крупных размеров.
Хранить сибаса следует в пластиковом ящике со льдом при температуре от минус два до нуля. Если рыбу нужно срочно заморозить, то обязательно ее распотрошите, сполосните водой и поместите в специальный пакет для заморозки. В замороженном виде данный продукт может храниться от шести до двенадцати месяцев.
Видео: “Жить здорово” и Елена Малышева. Сибас (морской окунь) – польза, как выбрать, как хранить, как готовить
БУДЕТ ИНТЕРЕСНО:
Треска: что за рыба, где водится, описание, фото, как выбрать, как при…
Терпуг: что за рыба, где водится, фото, описание, как приготовить, пол…
Скумбрия: что за рыба, где водится, фото, калорийность, польза, как пр…
Лосось кахаваи: что за рыба, польза, описание, фото, как вкусно пригот…
Кальмары: что это такое, состав, польза, как почистить, как варить, чт…
Икра красная: состав, калории, польза и вред для здоровья
Конгрио (кинг клип): что за рыба, фото, описание, где водится, как при…
Трепанг на меду: что это такое, описание, фото, как приготовить, как п…
Голец: что за рыба, польза, как выбрать, как хранить, как приготовить
Ловля
Сибас — очень сильная рыба, которая оказывает отчаянное сопротивление при вываживании, поэтому её ловля всегда доставляет массу положительных эмоций. Его ужение, как правило, осуществляется в зоне прилива. На этом участке обычно собирается много рыбьей молоди, которая является основным объектом охоты морского волка. Кроме того, в рыхлом грунте прибрежной акватории обитают личинки песчаных угрей, также представляющие большой интерес для лаврака.
На заметку! Для охоты хищник выбирает участки с каменистым или песчаным грунтом. После отлива всегда можно найти обширные мелководные зоны, где и нужно ловить эту рыбу.
Пик пищевой активности сибаса наступает примерно за 3 часа до того момента, когда уровень подъёма воды станет максимальным. Хищник активно кормится в течение 2–3 часов, пока прилив не достигнет своего пика. С наступлением отлива лаврак снова уходит на глубину.
Основная масса сибаса вылавливается любительскими снастями в период с августа по сентябрь. Ранней весной также можно попасть на жор этого хищника. Для рыбалки лучше выбирать сумеречные предзакатные часы, когда лаврак особенно активен.
Замечено, что его ловля бывает гораздо результативнее в ветреную погоду. Это может быть связано с тем, что сильная волна, поднимая верхние слои донного в прибрежной зоне, вымывает множество мелких рачков и моллюсков, поживится которыми приходит небольшая рыбёшка. Большая концентрация малька вызывает у морского волка повышенную агрессию, что резко увеличивает количество поклёвок. Кроме того, сильное волнение воды заставляет выбираться из своих нор личинок морских угрей, которыми очень любит лакомиться сибас.
Так как сибас предпочитает охотиться в прибрежной зоне, для его ловли необязательно использовать плавсредство. Во время береговой рыбалки следует применять спиннинговую снасть, состоящую из следующих элементов:
- спиннинга с тестом 30–60 гр. длиной не менее 2,7 м;
- безынерционной катушки серии 3500;
- плетёного шнура диаметром 0,12 мм;
- шок-лидера из флюорокарбоновой лески толщиной 0,25 мм;
- искусственной приманки.
Длинный спиннинг, оснащённый большой безынерционной катушкой, позволит забрасывать приманки на расстояние до 80 м, что порой бывает необходимо. Наличие шок-лидера из флюорокарбоновой мононити обязательно, поскольку рыбалка часто проходит на каменистом грунте, о который плетёный шнур быстро повредится. В качестве искусственных приманок можно использовать силиконовые имитации червей или моллюсков, а также блёсны типа «пилькер» весом до 50 гр. Сибас особенно хорошо реагирует на имитации макрели и личинок песчаного угря. В зоне мелководных пляжей отлично работают объёмные поверхностные приманки:
- попперы;
- кроулеры;
- стикбейты;
- пропбейты.
Характер анимации поверхностных моделей напрямую зависит от активности рыбы на момент ловли. Классическая проводка представляет собой рывки длиной 20–30 см, практически с полным отсутствием пауз. Если рыба не желает брать быстро перемещающуюся по поверхности приманку, то после каждой потяжки можно дать ей спокойно полежать на воде 3–4 секунды.
Яркие стримеры отлично подходят для ужения сибаса в тёмное время суток.
Рыба морской волк неплохо ловится нахлыстовой снастью, которая состоит из довольно мощного удилища 8–10 класса длиной около 3 м
Особое внимание следует обратить на катушку и шнур. Эти элементы должны быть ориентированы на ужение в солёной воде
В противном случае снасть быстро выйдет из строя. После каждой рыбалки все комплектующие орудия лова необходимо промыть под струёй проточной воды.
Если рыбалка проходит в мелководной зоне отлива, лучше применять плавающие шнуры конфигурации WF. Степень плавучести подлеска также должна быть положительной. Для подобной ловли хорошо подходят поводки из флюорокарбона диаметром 0,20–0,22 мм, которые способны противостоять не только острым краям подводных камней, но и в меньшей степени повреждаются зубами хищника.
Рыболовы, которые часто охотятся на лаврака заметили, что в апреле он лучше реагирует на мелкие нахлыстовые мухи длиной не более 3 см. Во время осенней ловли он предпочитает клевать на стримеры, чей размер составляет около 7 см.
Описание рыбы
Сибас относится к семейству Мороновых и является морской хищницей.
У этой рыбы есть несколько названий:
- сибас,
- морской волк,
- койкан,
- морской окунь,
- бранзино,
- обыкновенный лаврак,
- спигола,
- морской бас.
Наличие такого большого количеств имен много имен связано, прежде всего, с тем, что эта рыбка широко распространена повсеместно, а жители разных стран по-разному называют сибаса.
Однако ее широкой распространение не говорит о том, что сибас присутствует в изобилии. Так, некоторых из стран вылов морского волка запрещен по причине его занесения в Красную книгу.
Поэтому чаще всего сибас, продающийся на рынках или в магазинах — это рыба, которая искусственно выведенная в специальных водоемах с морской водой.
Виды
Принято выделять два вида сибаса:
- обыкновенный. Он обитает у восточного побережья Атлантики.
- чилийский (или черный). Он обитает у западного побережья Атлантики, в также в Черном и Средиземном морях.
Внешний вид
Обыкновенный сибас имеет вытянутое туловище, обладает крепким скелетом, в не не очень много костей.
Его брюхо светлого цвета, по бокам которого расположены серебристые участки. Два плавника присутствуют на спине, причем передний оснащен шипами. У этой рыбки довольно крупная чешуя.
Как правило, обыкновенный сибас вырастает в длину, в среднем, около полуметра, а веса может достигать максимум в двенадцать килограммов. Его продолжительность жизни – в среднем 15 лет, хотя встречаются и долгожители, возраст которых исчисляется около 30 лет.
Чилийский сибас, встречающийся у западных берегов Атлантики, имеет темный окрас – от серого до коричневого. Это зависит от того, в какой воде он обитает. Эта рыбка имеет на спине острые плавники, предпочитает держаться на глубине, где есть прохлада.
Среда обитания
Как уже отмечалось, рыбка сибас может встречаться как на западе, так и на востоке Атлантики.
Также ее можно найти, в частности:
- в Черном и Средиземном морях.
- в водоемах Норвегии, а также африканского континента, например, Марокко и Сенегала.
- в искусственных водоемах европейских стран, к примеру: Италии, Испании, а также Франции.
Морской волк преимущественно, держится около берегов, в устьях рек, а также неглубоких водоемах. Особо сибаса могут совершать активные миграции.
Особенности поведения
Данная рыбка активна ночью, а днем держатся преимущественно около дна. Сибас может держаться как на глубине, так и плавать на поверхности.
По своей натуре, морской волк — это хищная рыба. Такой охотник в течение долгого времени может сидеть в засаде и выслеживать жертву, после чего внезапно совершить нападение. Когда сибас своим большим ртом захватывает добычу, он ее проглатывает.
Нерест
Особи морского волка становятся половозрелыми в среднем возрасте от 2 до 4 лет (у рыб, проживающих в Атлантическом океане, этот возраст выше – четыре-семь лет).
Икрометание происходит преимущественно зимой , весной нерест сибаса случается только в южных регионах.
Температура воды для нереста не должна быть ниже 12-14 градусов.
Молодые особи морского волка, как правило, держатся стайкми. После того, как молодняк сибаса набрал вес, он уходит из стаек, морские волки начинают набирать вес, начиная добывать себе пропитание самостоятельно.
Рацион питания
Как уже отмечалось ранее, сибас — это хищная рыба. Морской волк предпочитает в качестве пищи:
- мелкую рыбешку
- моллюсков,
- креветок,
- крабов,
- морских червей.
Сибасы также очень любят лакомиться сардинами. Летом из-за этой добычи они могут совершают длительные путешествия к местам обитания сардин.
Искусственное разведение
Сибаса активно разводят в водоемах многих европейских стран из-за его вкусного и полезного мяса. При этом, тушки искусственно выращенного сибаса, как правило, жирнее, вес составляет в пределах полукилограмма. Стоимость сибаса, который был искусственно выращен, дешевле, недели дикой рыбы.
Гарнир
- Время: 1 час.
- Количество порций: 5 персон.
- Калорийность блюда: 51 ккал.
- Предназначение: гарнир.
- Кухня: европейская.
- Сложность: легко.
В качестве гарнира к сибасу необходимо подбирать продукты, деликатно гармонирующие с его вкусом, не перебивающие его, способствующие лучшему усвоению ингредиентов. В России в дополнение к блюду часто подают тушеные, паровые овощи, обжаренные на гриле. Традиционным итальянским гарниром к рыбе является ризотто, полента, англичанам больше нравится гороховое, картофельное пюре, американцы предпочитают картофель фри. Универсальным же дополнением к жаренной, запеченной, отварной спинголе считаются овощи под соусом, приготовленные в духовом шкафу.
Ингредиенты:
- фасоль (стручковая) – 150 г;
- картошка – 3 шт.;
- помидоры черри – 10 шт.;
- баклажан, цуккини, морковка – по 1шт.;
- лимонный сок – 25 мл;
- трави итальянские – 2-3 щепотки;
- специи, масло оливы (постное) – по вкусу.
Способ приготовления:
- Все овощи необходимо очистить, помыть, нарезать произвольными средними кусочками, чтоб не развалились во время запекания.
- Взбрызнуть лимонным соком, оливковым маслом, посыпать приправой, специями, перемешать.
- Выкладывать в противень, накрытый алюминиевой фольгой, время приготовления в духовке – 0,5 часа при 2000.
- Затем фольгу нужно снять и продолжить выпекать блюдо еще четверть часа.
Готовим лаврак: рецепт рыбы
В ресторанах блюда из сибаса приготовлены очень вкусно. Но и дома хозяйки могут сотворить кулинарные шедевры. Очень часто лаврак жарят порционными кусками или целиком. Чтобы подчеркнуть вкус и нежность, сделать это можно так. Сначала готовится маринад. Для этого выдавливается 2 столовые ложки сока лимона, смешивается с неполной чайной ложкой злой горчицы и паприкой. Маринадом тщательно натирается тушка, включая внутреннюю часть выпотрошенного брюха, и оставляется на 2 часа. Обжаривается сибас на большом огне с обеих сторон. Затем огонь отключается, сковороду накрывают крышкой, и блюдо настаивается 10 минут.
Очень вкусно запекать лаврак в фольге. Для этого рыбу натирают оливковым маслом и лимонным соком, посыпают солью и приправами, обязательно используют розмарин. Далее заворачивают рыбу в фольгу и отправляют на 30 мин в разогретую духовку. Температура — 200 °С. За 5 минут до готовности фольгу стоит раскрыть или убрать вовсе. Так можно получить красивую корочку.





































